Services

Dr. Weber, in addition to routine veterinary care, offers the following services:
        Dr. Weber approaches all of his patients in an integrative fashion. He is aware, however, that some pet owners have preferences in the modalities used in the treatment of their pets. Dr. Weber makes every attempt to comply with the owners wishes in the context of his expertise and the best treatment for the pet.
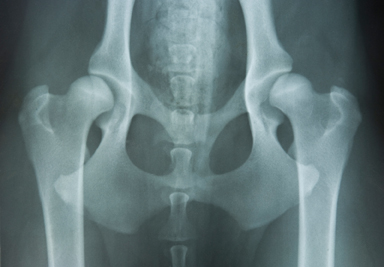
         Dr. Weber is PennHip certified. This allows Dr. Weber to evaluate dogs, of any breed, for hip dysplasia using the PennHip technique. This technique measures hip distraction on a mathematical calculation rather than just subjective interpretation.
          Dr. Weber also offers reproductive treatments and consultation for breeding animals. This includes, but not limited to:

  • Canine pre-breeding examination of females and males – this includes hip radiographs, general physical examination, temperament evaluation, brucellosis testing, semen evaluation, blood chemistry analysis, thyroid evaluation.
  • Canine vaginal cytology, progesterone testing, and artificial insemination
  • Feline pre-breeding examination of males and females: physical examination, temperament evaluation, blood chemistry analysis, thyroid evaluation.
  • Assisted birthing
  • Cesarean (surgical) delivery
  • Treatment of urogenital problems using an integrative approach
  • Sterilization
X-Ray of hips